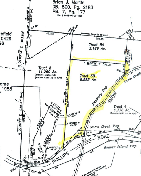
Judicial Sale of Land-Stokes County NC 13 Tuesday May 2014 Original size at 463 × 575 ≈ Leave a comment image0011